On this page, we will outline the postoperative healing journey and the essential aftercare steps following a TTA RAPID® surgery.
Post-Operative Care
Healing process after a TTA RAPID® Surgery
Over 100,000 patients, previously disabled, have regained their ability to walk, all thanks to the groundbreaking TTA RAPID® knee implant. Unlike numerous traditional treatment approaches, the use of these 3D-printed titanium implants enables complete bone integration, ensuring optimal healing and function.
In general, it can be observed that patients can already put their foot back on the ground shortly after TTA RAPID surgery. This initial positive gait pattern progressively strengthens over time.
Aftercare Guidelines
for pet owners
Proper post-operative care of the TTA RAPID® patient is extremely important. Research has shown that dogs undergoing TTA RAPID® surgery experience a swift return to pain-free and comfortable mobility shortly after the procedure, particularly when compared to the TPLO method.
Despite the inherent stability of the TTA RAPID® construct, the repair remains vulnerable until the osteotomy has filled and consolidated.
The long-term success of any surgery, particularly orthopedic procedures, is contingent upon the diligence of the pet owner. It is imperative to consult your veterinarian for detailed postoperative instructions and to adhere to these guidelines.
Typically, patients are kept in the hospital overnight with appropriate analgesia. A follow-up appointment is scheduled at 10 days, followed by a clinic evaluation at 6 weeks.
Strict leash exercise for at least 6 weeks
As with any surgical intervention, ensure your dog remains leashed for a minimum of 6 weeks post TTA RAPID® surgery. Unlike humans, dogs may quickly forget about their surgery once discomfort subsides.
During the initial six weeks post-operatively, strict leash exercise is crucial, limited to 5-10 minutes per session. Hydrotherapy is encouraged during this period. Between six weeks and the three-month follow-up, radiograph exercise may be gradually increased but should still be performed on leash.
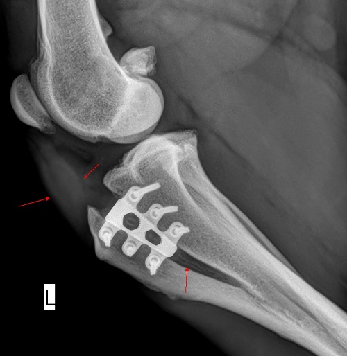
X-Ray image immediately after a TTA RAPID® Surgery →

Controlled off-leash exercise
If the 3-month radiograph indicates filling of the osteotomy, off-leash exercise is permitted, initially for 10 minutes at the end of a walk. Exercise can then be gradually increased to normal levels.
Controlled activity for 12 weeks
The bone has not yet attained its original stability. Activities such as throwing sticks, playing ball, engaging in greeting rituals, jumping, and wrestling with other dogs must be strictly avoided for a period of 12 weeks, along with stair climbing and any activities carrying the risk of falls. It is crucial to prevent your dog from roaming freely around the house; instead, provide protection and supervision. It is helpful to envision how you would behave if you had undergone knee surgery yourself.
Over time, the bone integrates with the implant, gradually restoring complete stability. The accompanying image depicts the same TTA RAPID® cage 16 months post-surgery, showcasing how the bone has successfully grown through the implant, a testament to the innovative design of the TTA RAPID® cage.
Over time, the bone integrates with the implant, gradually restoring complete stability. The accompanying image depicts the same TTA RAPID® cage 16 months post-surgery, showcasing how the bone has successfully grown through the implant, a testament to the innovative design of the TTA RAPID® cage.
X-Ray image 16 months after the TTA RAPID® Surgery →

Please consult your veterinarian for personalized aftercare recommendations tailored to your dog's specific needs, in consideration of the information you have gathered here.
Questions?
You may call us at +49 7463 992 910 (Headquarters in Germany) or email us directly by clicking on the button below. OR fill out the form at the right and send.

TTA RAPID® & RAPID Patella Luxation
By submitting this form, you agree that your data will be stored by Rita Leibinger GmbH & Co. KG to process your request and/or respond to your message. You also hereby confirm that you have read our privacy policy and accept it.
