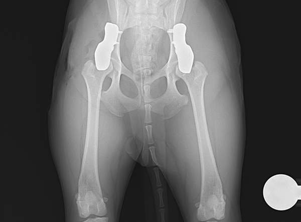
Case Overview
In July 2025, a tiny Shiba Inu weighing only 5.8 kg underwent a pioneering procedure for bilateral hip dysplasia — becoming one of the smallest dogs ever to receive a 3D HIP Implant Implant by Rita Leibinger.

A Remarkable Surgical Feat
The surgery involved implanting a 2.4 mm 3D HIP Patient-Specific Implant (Titanium) to address severe bilateral hip dysplasia. According to Prof. Dr. Björn Meij (Utrecht University), this miniature Shiba Inu represents the smallest patient on Earth to have successfully undergone this advanced orthopedic procedure. The precision and adaptability of the 3D HIP system allowed for a stable and minimally invasive intervention, tailored to the patient’s unique anatomy.
Implant Overview:
- Less Invasive: Requires less tissue disruption compared to pelvic osteotomies (DPO/TPO).
- Patient-Specific Design: Each implant is tailored to the unique anatomy of the patient.
- Faster Recovery: Promotes early return to normal locomotion.
- Bilateral Option: Enables treatment of both hips in a single surgery.

Recovery Outlook
Post-operatively, the Shiba Inu is progressing well, showing encouraging signs of improved joint stability and mobility. While full rehabilitation will require time and care, the early results are highly promising, resulting in greatly reduced pain and enhanced mobility.
This landmark case demonstrates the versatility of 3D HIP and its ability to push boundaries in small-animal orthopedics. By successfully treating such a small and delicate patient, this procedure sets a new standard for precision surgical solutions in veterinary medicine.

SPECIAL THANKS to Dr. Ikeda for letting us share this very interesting case.
Implant Used: 2.4 mm 3D HIP Patient-Specific Implant – Titanium
System: 3D HIP
Manufacturer: Rita Leibinger Medical
Surgery by: Dr. Ikeda
Featured Products

3D HIP Patient-Specific Implant, Titanium (Left and Right Version)
Product Code: 138-0600-00
(sizes customizeable)
